Maladies des mûres et lutte contre elles dans le jardin
Contenu
Maladies fongiques infectieuses
Il est à noter que les maladies infectieuses, c'est-à-dire celles causées par des bactéries, des virus ou des champignons, menacent également les mûres et les framboises. Si ces deux cultures apparentées poussent sur le site, alors elles peuvent avoir les mêmes maladies, ce qui signifie que les mesures thérapeutiques et préventives devront être étendues à toutes les plantes.
Le plus souvent, les mûres (comme les framboises) sont exposées à des maladies fongiques. Les spores sont facilement transportées par le vent ou sur les pattes des insectes, hivernent sur les débris végétaux ou dans les couches supérieures du sol. Ils affectent généralement les plantes affaiblies avec une immunité altérée. Il se trouve que l'infection a commencé, mais ne s'est pas complètement manifestée en raison de la force et de la santé de la plante, et l'année suivante, ce sera bien pire. C'est l'une des raisons de la destruction obligatoire des pousses fructifères, il est recommandé non seulement de les couper, mais de les brûler afin de ne pas donner une seule chance à la maladie. De nombreuses variétés et hybrides modernes ont une résistance aux maladies fongiques, mais cela n'offre pas une protection à cent pour cent, il est donc préférable de connaître l'essentiel des maladies courantes afin d'essayer de les prévenir ou de les reconnaître à temps.
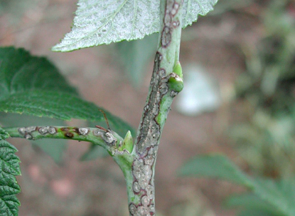
La septoriose ou la tache blanche peut atteindre une zone propre avec du matériel de plantation, puis elle se propage très rapidement. A la fin du mois de mai pluvieux, des taches rondes brun clair apparaissent sur les feuilles, qui deviennent progressivement blanches, au bout d'un moment des points noirs apparaissent au milieu des taches blanches bordées de marron, elles se confondent progressivement, toute la surface affectée devient brune et tombe. D'abord, les feuilles sur les pousses de la deuxième année sont affectées, puis sur les jeunes. Si vous n'arrêtez pas le processus, il atteindra son maximum pendant la maturation des fruits et toutes les plantes souffriront jusqu'à l'automne. Les baies vont pourrir, les jeunes feuilles, brindilles, pousses semblent couvertes de mucus.
Les tiges sont affectées à l'automne et les symptômes peuvent ne pas être observés au cours de la première année de croissance des pousses. Des taches claires apparaissent sur la partie inférieure des pousses, qui sont presque invisibles sur les pousses vertes ; elles peuvent être remarquées sur des branches de couleurs différentes. Ils peuvent apparaître près des reins, sur les entre-nœuds, il est difficile de les remarquer jusqu'à ce que des points noirs apparaissent, puis des fissures. L'écorce sur les zones touchées se décolle, se recourbe. Le buisson souffre, mais grandit: les bourgeons affectés meurent et si la pousse est affectée, un rameau court et faible se développe à partir du bourgeon le plus proche.
Humidité élevée, ombre, épaississement de la brousse - ce sont des conditions favorables au développement de la septoriose. Ils contribuent également à l'apparition d'une autre maladie fongique spécifique aux mûres et aux framboises - l'anthracnose.
Fin mai et tout début juin, de petites taches violettes apparaissent sur les drageons, jeunes pousses de remplacement par le bas, qui fusionnent ensuite pour devenir grisâtres avec des ulcères rouges, au milieu desquels le tissu se fissure. L'écorce autour des ulcères commence à s'écailler.Sur les feuilles, des taches sont situées le long des nervures ou des bords, le tissu affecté se dessèche et tombe. Sur les brosses à fruits, ces taches forment un anneau fermé, toute la brosse se fane, pas un seul fruit ne mûrit. Sur les fruits mûrs, des ulcères gris se forment.
Si la maladie n'est pas arrêtée, le dessus des jeunes pousses sera recouvert d'une croûte épaisse. De telles pousses peuvent mourir en hiver en raison d'un affaiblissement sévère, et si elles survivent au froid, le rendement sera alors minime, car les bourgeons à fruits ne se sont presque pas formés pendant la maladie. Et le champignon portera ses fruits - de petits points noirs apparaîtront sur les croûtes, c'est son fruit. Ils hivernent sur les branches affectées, sur les débris végétaux, sur les mauvaises herbes, et au printemps, ils envahissent une zone encore plus grande. Par conséquent, le combat doit commencer immédiatement, lorsque les moindres signes de défaite apparaissent.
Les buissons sains montrent une résistance à ces maladies et, pour une bonne croissance et une bonne santé, ils doivent être fertilisés à temps. Par conséquent, les experts recommandent d'appliquer un engrais minéral complexe au printemps afin que 1 m². m a produit 9 g d'azote, de potassium et de phosphore. À l'automne ou au printemps, vous devez donner de l'humus de mûre et du compost, au moins 3 kg pour chaque buisson. Il est nécessaire de surveiller la propreté du terrain autour des buissons - enlevez les mauvaises herbes à temps, enlevez complètement les feuilles à l'automne, brûlez les pousses, même si aucune infection fongique n'a été remarquée. Toutes les terres entre et autour des buissons doivent être bien creusées. Et au printemps, après le premier ameublement sous les buissons, il est utile de pailler le sol avec une épaisse couche (7 - 8 cm) de paille avec du fumier ou de la tourbe. Et lors de l'achat de nouveaux plants, vous devez les inspecter très soigneusement afin de ne pas amener de spécimens affectés sur le site.
Un autre amateur de mûres est le champignon rubis phragmidium, qui induit une maladie connue sous le nom de rouille. Ce champignon produit différents types de spores à chacun de ses cinq stades de développement. Toutes les étapes affectent la plante de différentes manières, et les spores l'infectent de plus en plus, ainsi que les plantes environnantes.
Tout d'abord, de petites taches marron clair ou orange apparaissent sur les feuilles au début de l'été, des spores mûrissent à l'intérieur, qui recouvrent les tiges, les feuilles, les pétioles d'une masse collante. Ensuite, cette masse se dessèche, se transforme avec le temps en un film et les feuilles, les pétioles et les tiges sont recouverts de coussinets orange convexes, dans lesquels mûrissent les spores suivantes. Ensuite, les tiges affectées deviennent brunes, des ulcères oranges apparaissent dessus. Les champignons survivent bien à l'hiver et continuent à récolter la plante l'année suivante. S'étendant plus loin le long des tiges, il les fait se dessécher.
Au milieu de l'été, de nouvelles spores s'envolent des coussinets orange sur la face inférieure de la feuille et continuent d'infecter la mûre. Plus près de l'automne, les feuilles sont couvertes de pustules noires, ce sont des spores régulières, elles se déposent sur les feuilles tombées pour survivre à l'hiver, et à partir du printemps, tout se répète, mais avec une plus grande force, les jeunes pousses fortes sont affectées.
Pour protéger les plantes, elles doivent être soigneusement examinées et, dès les premières manifestations de l'infection, prendre de toute urgence des mesures de désinfection. L'infusion d'ail montre un bon résultat dans la lutte contre les maladies fongiques. Prendre 300 g d'ail, hacher, verser 3 litres d'eau, insister pendant une journée. Ensuite, l'infusion filtrée est diluée avec de l'eau tiède (vingt fois) et les buissons en sont traités, de préférence dans l'après-midi. Le même produit peut protéger contre les parasites - tiques et pucerons.
Vous pouvez traiter toute la partie terrestre de la plante avec de l'infusion d'asclépiade, il vous suffit de frotter toutes les pousses, feuilles et tiges avec une petite brosse ou une brosse. Pour ce produit, des feuilles de lait (300 g) sont broyées, laissées un moment au soleil, puis versées avec un litre d'eau, insistant 5 heures, filtrées. Ce traitement doit être répété tous les deux jours. Il ne faudra pas plus de quatre traitements pour que la plante se rétablisse complètement.
Le traitement des plantes au soufre est excellent contre les infections fongiques.Mais cela peut être effectué si la température de l'air ne descend pas en dessous de +18 degrés, sinon il n'y aura aucun résultat. Pour 10 litres d'eau, il faut prendre 100 ou 150 g de soufre colloïdal.
Pour la prophylaxie au printemps, lorsque les feuilles sont à peine fleuries et à l'automne après la récolte, vous pouvez pulvériser les buissons avec du liquide bordelais. Mais seulement il devrait être neutre ou légèrement alcalin, l'acide menace de brûler les feuilles. Vous pouvez vérifier le liquide préparé avec du papier de tournesol - une couleur rouge ne doit pas apparaître dessus après le contact avec le liquide. Certains jardiniers préfèrent utiliser le Bourgogne liquide car il ne contient pas de chaux. Pour le préparer, prenez 10 litres d'eau, 100 g de sulfate de cuivre et 50 g de carbonate de sodium. Du sucre est également ajouté pour que le liquide adhère aux verts. Avant d'utiliser un médicament, vous devez faire un test sur une branche.
Didymella ou tache violette affecte moins les feuilles que les pétioles, les pousses et les bourgeons. D'abord, des taches brun-violet apparaissent sur les tiges, puis elles poussent, elles encerclent la pousse en anneau. Cela entraîne un dessèchement et une fragilité des pétioles, la chute des feuilles, les bourgeons ne se développent pas, ils noircissent et les tiges peuvent se dessécher si elles sont gravement endommagées. Les fleurs et les baies ne sont pas affectées, mais les fruits deviennent faibles, petits, acides et peuvent ne pas mûrir. C'est aussi une maladie fongique, elle survient avec une humidité élevée sur des buissons trop denses. Prévention - lutte contre l'épaississement, destruction des feuilles mortes, propreté des allées. Vous pouvez également le traiter en le pulvérisant avec de la teinture d'ail, du liquide bordelais ou bourguignon.
L'oïdium et le botrytis ou la moisissure grise attaquent les baies. L'oïdium recouvre les baies d'une floraison blanche, peut affecter les pousses, plus précisément les points de croissance mêmes, les jeunes feuilles. Ces baies ne peuvent pas être consommées, toutes les parties affectées de la plante doivent être détruites. Botrytis fait pourrir les baies pendant le stockage. Les baies affectées ne peuvent pas non plus être consommées, elles ne conviennent pas à la transformation. Il peut endommager les pousses en s'installant dans les entre-nœuds ; les pousses infectées gèlent généralement en hiver. Placer les pousses sur des treillis, sans épaississement, avec la possibilité d'une ventilation constante, réduira au minimum les risques de maladie. Si cela ne pouvait être évité, alors les moyens de traitement et de prévention de toutes les maladies fongiques sont les mêmes que dans la lutte contre la rouille.
Vidéo "Maladies virales des mûres et des framboises"
Si des maladies virales en sont venues à planter des mûres et des framboises, elles doivent être combattues. Un expert vous expliquera comment procéder dans cette vidéo.
Les maladies non transmissibles
Il est d'usage d'appeler la réaction des plantes à un excès ou à une carence de certains micro et macroéléments comme des maladies non infectieuses, car un déséquilibre nutritionnel provoque souvent le dessèchement des feuilles et des pousses et ne permet pas aux fruits de mûrir normalement.
Par exemple, une quantité insuffisante d'azote dans le sol affaiblit la croissance de la plante, ses parties vertes pâlissent, jaunissent, les feuilles peuvent simplement tomber au milieu de l'été. Une telle plante fleurit faiblement, les fruits deviennent petits, peuvent ne pas mûrir, les jeunes pousses se développent à peine. Et un excès d'azote entraîne l'apparition de taches brunes sur les feuilles, leur coagulation et leur chute prématurée.
L'apparition d'une bordure brun foncé le long du bord des feuilles indique un manque de potassium. Les feuilles s'enroulent, car certaines parties de la plaque foliaire poussent de manière inégale, elles peuvent perdre du vert, devenir trop pâles ou bleuâtres. Les baies mûrissent également de manière inégale, leur centre peut devenir trop mou. S'il y a trop de potassium, les pousses poussent lentement, les entre-nœuds s'allongent, des taches sombres de tissus mourants apparaissent sur les feuilles qui s'éclaircissent, les feuilles tombent.
Le manque de phosphore ralentit la croissance des feuilles de mûre, leur couleur passe du vert foncé au bronze rougeâtre et au noir lorsqu'elles sont sèches. Les feuilles tombent, la floraison et la maturation des fruits sont retardées dans le temps et ralentissent.Mais un excès de phosphore fait que les feuilles s'éclaircissent et se décolorent à partir du milieu et acquièrent sur les bords une bordure brunâtre.
S'il y a peu de calcium, les jeunes feuilles deviennent de plus en plus pâles et les anciennes conservent leur couleur verte riche et saine. Les bourgeons apicaux ne se développent pas, les parties supérieures des jeunes pousses se dessèchent souvent et les ovaires se décomposent. Trop de cet élément, pour ainsi dire, ne permet pas aux pousses de pousser - les entre-nœuds se rapprochent, les feuilles se rassemblent en rosettes, le tissu foliaire entre les nervures change de couleur, parfois il se remplit d'eau.
Avec un manque de fer, une chlorose des feuilles se produit - tout l'espace de la plaque foliaire entre les nervures s'éclaircit, comme s'il s'estompait. En même temps, les baies se dessèchent, rétrécissent. Un excès de fer conduit à des résultats similaires : les jeunes feuilles sont complètement décolorées et les baies se dessèchent.
Le manque de magnésium tache en rouge la plaque foliaire entre les nervures, contre laquelle les rayures vertes des nervures sont très élégantes, puis elles deviennent également rouges et les feuilles tombent en commençant par les plus basses. En fait, on admire ce processus à l'automne, mais en plein été il témoigne de la faim de magnésium de la plante. Si les feuilles s'assombrissent, s'étirent, brisent les proportions, puis se recroquevillent et tombent, c'est qu'il y a trop de magnésium.
Lorsqu'un beau motif apparaît sur les jeunes feuilles supérieures, entre les nervures vertes la plaque jaunit d'abord puis brunit, puis la feuille tombe, puis la mûre manque clairement de manganèse. S'il y a trop de manganèse, la feuille se couvre de taches, de plis, de rides.
L'excès et la carence en nutriments de base sont également néfastes pour la croissance des mûres, il est préférable d'essayer de maintenir le bon équilibre. Cela est possible si vous observez attentivement tous les changements qui se produisent pendant la saison de croissance, vous pouvez alors remarquer et corriger la situation à temps.
Ravageurs de la mûre
Les mûres qui poussent dans le jardin peuvent être attaquées par divers parasites, le plus souvent des insectes, qui peuvent endommager toutes les parties de la plante. Mais ce n'est pas du tout nécessaire. La connaissance du jardinier des principaux ennemis peut aider à éviter de rencontrer la mûre avec eux.
Dans la couche supérieure du sol, dans les basses terres humides, l'ours vit et se reproduit - un grand insecte ailé parfaitement adapté pour creuser le sol afin d'y pondre des œufs. Les grosses larves ne deviennent adultes que l'été prochain et, pendant tout ce temps, elles gâchent les racines des arbustes, des légumes, des plantes-racines poussant sur le site - tout ce qui peut être rentable. Les résidents d'été combattent les ours avec cruauté et sans pitié, sinon vous risquez de perdre toute la récolte et toutes les plantes du site. Ils sont collectés en arrangeant des pièges, empoisonnés, appâts avec des têtes d'allumettes dans les pièges, à l'automne, ils sont attirés dans des fosses avec du fumier. Toutes ces activités sont tout à fait capables de chasser les parasites.
Les khrushches représentent également un danger considérable pour les racines, les jeunes larves de coléoptères mai rongent les racines minces et les adultes sont capables de mordre les rhizomes des tiges, détruisant ainsi tout le buisson. Et ils vivent parmi les racines de nos plantes pendant 5 ans avant de se transformer en pupe, puis seulement après 1,5 an, le scarabée s'envole. Si des coléoptères de mai se sont installés sur le site, vous devez collecter les larves. Pour ce faire, le buisson doit être complètement déterré, secoué de tout le sol des racines de la litière, puis tamisé en sélectionnant toutes les larves. Avant de replanter le buisson, ses racines et le sol dans la fosse sont arrosés avec une solution de tabac (100 g de poussière de tabac sont pris pour 10 litres d'eau). Vous pouvez tremper les racines dans une purée d'argile en y ajoutant de la poussière de tabac.
Les pucerons des pousses de framboisier, la fabrication de noix de framboisier, la cécidomyie des pousses de framboisier, également appelée moustique du framboisier, sont capables d'endommager les pousses de mûres. Tous ces parasites s'installent d'eux-mêmes, pondent des œufs et ajoutent des larves dans (ou sur) les jeunes pousses de mûres. Les branches affectées doivent être impitoyablement coupées et brûlées, sinon les parasites détruiront toute la plante.Le traitement par infusion de tabac ou d'ail fonctionne bien. De nombreux jardiniers traitent les buissons avec de l'eau chaude au début du printemps avant que les bourgeons ne se réveillent. C'est une très bonne méthode de lutte, mais toutes les plantes ne sont pas capables de supporter facilement une telle averse elles-mêmes. Si vous décidez de l'appliquer, vous devez d'abord essayer quelques pousses, puis voir comment ils le perçoivent, si les bourgeons ne souffriront pas.
Les feuilles sont souvent affectées par les pucerons, les acariens et la tenthrède du framboisier. Les buissons sont sauvés des pucerons avec des infusions d'ail ou de tabac, un médicament plus efficace est le nitrafène. Pour les tiques, des infusions de tabac, d'ail, d'écorces d'oignon sont utilisées, en y ajoutant du savon liquide. Si la température dépasse +18 degrés, vous pouvez la traiter avec du soufre, si les préparations à base de plantes n'ont pas aidé. Contre la tenthrède des feuilles, une solution de savon phénique est également utilisée.
La poussière de bourgeon de framboisier et le charançon du framboisier sont capables de détruire les bourgeons à fruits, les inflorescences et les ovaires. Ils sont collectés mécaniquement, lavés avec des préparations à base de plantes, dans le cas le plus extrême, vous pouvez utiliser du karbofos.
Afin d'éviter les parasites des mûres, il est nécessaire de surveiller la propreté entre les buissons et dans la couche supérieure du sol - éliminer les résidus de plantes, creuser et ameublir le sol, détruire les feuilles et les pousses infectées, pailler le sol sous les buissons .
Vidéo "Ravageurs des mûres et des framboises"
Cette vidéo explique ce que sont les maladies des mûres et comment protéger la culture et sauver les arbustes à baies des parasites sans utiliser de produits chimiques.














