Melon "Ethiopka" - caractéristiques de la culture
Contenu
Description de la variété
Le melon éthiopien est populaire parmi les jardiniers et les jardiniers de notre pays en raison de son excellent arôme, de son goût élevé et de sa bonne capacité de transport. Extérieurement, la plante de cette variété est assez puissante et en même temps compacte. La variété a des feuilles caractéristiques en forme de cœur.
En termes de description des fruits, la variété a de merveilleux melons moyens à gros avec une forme ovale-ronde. La surface de cette variété est segmentée. Si vous passez votre main dessus, vous pouvez sentir une nette rugosité. Le fruit est protégé des éventuels effets négatifs de facteurs externes par une peau assez dense. Cette variété a également une belle couleur jaune doré avec une teinte orangée caractéristique. La masse de fruits d'une variété aussi populaire dans notre pays varie souvent entre 3 et 7 kg. Les fruits appartenant à cette variété sont naturellement dotés d'une pulpe juteuse, tendre et sucrée d'une agréable couleur jaune clair. Cette variété est meilleure consommée fraîche.
Vidéo "Grandir"
À partir de la vidéo, vous apprendrez à faire pousser un melon.
Cultiver des semis
La meilleure façon de cultiver, si vous choisissez cette variété, est par semis. Pour ce faire, vous devez préparer des graines de haute qualité. Pourquoi la méthode de semis est-elle la meilleure pour cette culture thermophile ? Parce qu'une longue saison de croissance permet d'obtenir une récolte plus riche à partir de graines et de plants à l'avenir. Lors de la plantation et de la germination des graines, votre culture préférée sera protégée de manière fiable contre le gel et d'éventuelles maladies dangereuses.
La préparation des semis commence généralement à la mi-avril. Afin de stimuler une germination précoce, il est conseillé de placer les graines dans l'eau peu de temps avant le semis. Le trempage des graines se fait mieux dans de l'eau à une température d'environ + 24 degrés. Cela n'a pas besoin d'être fait longtemps. De plus, pour semer des graines, des pots avec un mélange nutritif sont nécessaires. Le diamètre de ces récipients doit être d'environ 10 cm.Lorsque cette variété est semée avec des graines, les pots doivent être recouverts de papier d'aluminium. Ensuite, ils doivent être placés dans un endroit chaud. Après l'apparition des premières pousses fragiles des graines, le film doit être retiré des conteneurs et placé là où il y a beaucoup de lumière naturelle. Une variété peut obtenir un bon éclairage, par exemple sur un rebord de fenêtre.
Il est permis de transplanter les semis dans un endroit permanent lorsque 5 à 6 feuilles entières y apparaissent. Avant cela, environ une journée, vous devez arroser abondamment les plants avec de l'eau tiède. Au fond de chaque trou réalisé, qui doit être situé à une distance d'environ 50 cm les uns des autres, mettez 1 cuillerée de cendre de bois.
Immédiatement avant la plantation, il est recommandé d'arroser avec une solution faible de permanganate de potassium. Les plantes sont mieux plantées après que les puits ont été inondés avec de l'eau chaude et qu'elle a été absorbée. Un ajustement correct suppose que le collet ne sera pas enterré. Le soin des plantes de cette belle variété comprend l'élimination obligatoire des pousses latérales. Il est important de former une tige ici.
Top dressing
Au stade de l'apparition des feuilles de cotylédon, vous devez commencer à nourrir la culture. Il est conseillé d'utiliser le médicament "Uniflor-Bud". Sa consommation est de 1 cuillère à café de produit pour 5 litres d'eau pré-décantée. Il est important de s'assurer que le terrain n'est pas exposé à l'engorgement. L'arrosage doit être effectué après avoir attendu un dessèchement notable du sol.
Quant à la fréquence, beaucoup dépend de l'éclairage. Depuis les jours ensoleillés, des arrosages plus fréquents sont nécessaires, et les jours nuageux, des arrosages plus rares. Cette variété nécessite une grande quantité de potassium dans le sol. À partir de la floraison de la culture, l'application d'engrais phosphore-potassium est nécessaire. Son rôle est parfaitement joué par un mélange de 1 cuillère à soupe de superphosphate et 2 cuillères à soupe de sulfate de potassium. L'infusion de mauvaises herbes s'est bien montrée dans la pratique comme une aide en cas de développement insuffisant des plantes.
Combattre la maladie
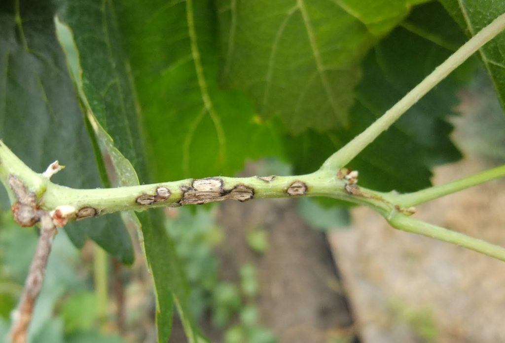
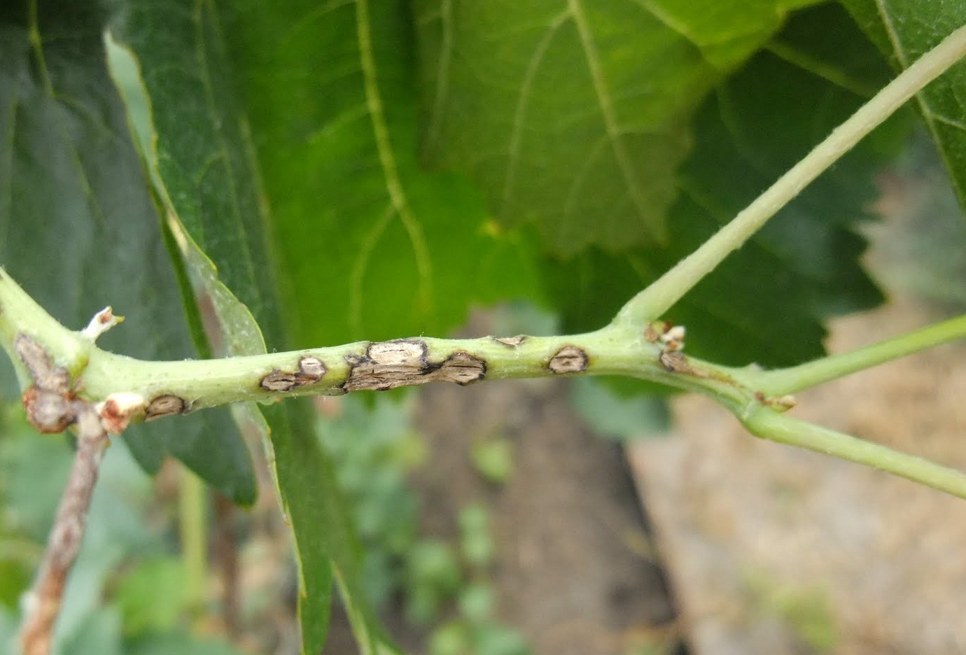
Malheureusement, il n'est pas toujours possible de cultiver votre fruit préféré, évitant ainsi son infection par certaines maladies. L'oïdium est l'un des plus courants. On le reconnaît aux taches blanches qui apparaissent à la surface de la tige et au sommet des feuilles. Au fil du temps, ils peuvent également être vus sur le dessous. La maladie n'épargne pas non plus le fruit. Il y a aussi une tache d'olivier. Il se caractérise par la présence de taches brunes sur les tiges et le feuillage. Parfois, à la surface du fruit, il y a des ulcères brun clair qui sont remplis de spores de champignons de couleur olive.
Un liquide gélatineux peut généralement être observé à la jonction entre les tissus sains et malades. Une telle maladie est lourde pour la culture de la perte de la présentation et de la qualité des fruits déjà mûrs et, tout d'abord, de la mort des ovaires. Les jardiniers doivent souvent lutter contre l'anthracnose. Une humidité excessive en est souvent la cause. Apparu à la surface des tiges et des pétioles, des ulcères jaune-brun avec une floraison rosâtre se sont propagés après un certain temps à la partie racinaire de la culture.La prévention de ces affections est la pulvérisation des plantes avec des préparations "Fitosporin", "Hom", Bordeaux liquide . Des produits de traitement tels que "Zircon", "Tsitovit" et "Epin-extra" se sont avérés excellents. Une utilisation correcte implique l'utilisation de 2 gouttes de n'importe quel médicament, dissoutes dans 1 litre d'eau.
Vidéo "Formation et Soins"
À partir de la vidéo, vous apprendrez à façonner et à prendre soin d'un melon correctement.
